Công an TP Hồ Chí Minh xác định hiện trường vụ xây dựng 48 căn nhà trái phép trên đất người khác
Kinhtedothi - Sáng 11/11, Cơ quan Cảnh sát điều tra Công an TP Hồ Chí Minh phối hợp VKSND TP, Công an phường Tân Khánh và các đơn vị nghiệp vụ tiến hành xác định hiện trường vụ việc “xây dựng nhà ở trái phép trên đất người khác” do ông Lê Văn Hoàng cùng những cá nhân khác thực hiện tại phường Tân Khánh. Hoạt động nhằm phục vụ điều tra, thu thập chứng cứ làm rõ hành vi vi phạm quy định pháp luật về đất đai và xây dựng.
Lực lượng chức năng TP Hồ Chí Minh có mặt tại khu 48 căn nhà do ông Hoàng đứng ra xây dựng. Ảnh: LL.
Theo hồ sơ, hộ ông Trương Minh Ký được UBND huyện Tân Uyên (tỉnh Bình Dương trước đây) cấp Giấy chứng nhận quyền sử dụng đất (CNQSDĐ) số 00452 ngày 27/9/1999, diện tích hơn 5.800m², thuộc thửa đất số 87, tờ bản đồ số 16 tại phường Tân Phước Khánh.
Đến năm 2017, ông Lê Văn Hoàng (SN 1969) và bà Nguyễn Thị Út (SN 1976, cùng trú tại phường Khánh Long, TP Tân Uyên cũ) bị cho là đã chiếm một phần diện tích đất này để xây nhà tạm, chuồng gà và công trình phụ, dẫn đến tranh chấp với ông Ký.
Hành vi trên từng bị UBND thị xã Tân Uyên ban hành Quyết định xử phạt vi phạm hành chính số 5311/QĐ-XPVPHC ngày 13/7/2017, buộc tháo dỡ công trình xây dựng trái phép, tuy nhiên bên vi phạm không chấp hành mà tiếp tục xây dựng trên khu đất 87.
Đến năm 2019, ông Ký khởi kiện dân sự yêu cầu ông Hoàng tháo dỡ toàn bộ công trình và trả lại đất. Sau nhiều lần tòa án thụ lý, áp dụng biện pháp khẩn cấp tạm thời, ghi nhận hiện trạng khu đất có 6 căn nhà cấp 4, 1 dãy nhà trọ và 2 chuồng gà, ông Hoàng cam kết tạm dừng thi công. Tuy nhiên, trên thực tế ông Hoàng vẫn tiếp tục xây dựng và hoàn thiện 48 công trình trên đất rừng sản xuất, trong đó nhiều căn được chuyển nhượng cho người khác dưới hình thức vi bằng.
Năm 2020, ông Hoàng cùng vợ là Nguyễn Thị Hạnh khởi kiện hành chính ngược lại, yêu cầu TAND tỉnh Bình Dương hủy Giấy CNQSDĐ của ông Ký, song vụ kiện bị bác bỏ.
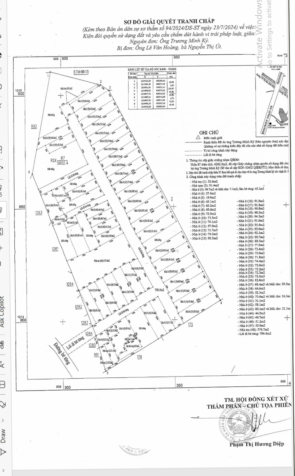
Sơ đồ khu đất cùng 48 công trình do ông Hoàng xây dựng và ráo bán, được cơ quan chức tỉnh Bình Dương trước đây vẽ lại.
Đến tháng 9/2023, TAND TP Tân Uyên xét xử phúc thẩm và giữ nguyên kết quả: thửa đất số 87 là tài sản hợp pháp của hộ ông Trương Minh Ký. Mặc dù vậy, ông Hoàng vẫn cố tình rao bán, chuyển nhượng đất cho nhiều người lao động nghèo đến từ các tỉnh khác với giá từ 200 triệu đến hơn 1,2 tỷ đồng mỗi lô, thu lợi khoảng 27 tỷ đồng. Trong khi đó, theo Hội đồng định giá tài sản TP Tân Uyên, giá trị thực tế của khu đất vào tháng 11/2023 là hơn 40 tỷ đồng.
Ngày 23/7/2024, TAND TP Tân Uyên tuyên án buộc ông Hoàng, bà Hạnh cùng các bên liên quan trả lại toàn bộ diện tích đất và tài sản cho ông Trương Minh Ký. Tuy nhiên, ông Hoàng vẫn không chấp hành mà tiếp tục chiếm giữ, sử dụng và để nhiều người sinh sống trên khu đất.
Ngày 28/2/2025, TAND TP Tân Uyên đã chuyển hồ sơ vụ việc sang cơ quan điều tra để xem xét, xử lý trách nhiệm hình sự của ông Lê Văn Hoàng và các cá nhân có liên quan về hành vi xây dựng nhà ở trái phép trên đất rừng sản xuất.
Sau khi tỉnh Bình Dương sáp nhập địa giới hành chính chung vào TP Hồ Chí Minh, vào tháng 10/2025 ông Trương Minh Ký đã có đơn phản ánh vụ việc gửi Thành ủy TP Hồ Chí Minh. Đến nay, Cơ quan Cảnh sát điều tra Công an TP đã vào cuộc.

Công an TP Hồ Chí Minh kêu gọi người dân tố giác “đinh tặc” trên Quốc lộ 1K
Kinhtedothi - Trước tình trạng nạn rải đinh tái diễn trên tuyến Quốc lộ 1K, Phòng Cảnh sát giao thông (CSGT) Công an TP Hồ Chí Minh (PC08) kêu gọi người dân phối hợp, cung cấp hình ảnh và thông tin liên quan để giúp lực lượng chức năng truy tìm, xử lý nghiêm các đối tượng rải đinh, bảo đảm an toàn cho người tham gia giao thông.

Công an TP Hồ Chí Minh giải cứu 1 nam sinh viên bị “bắt cóc online”
Kinhtedothi - Ngày 15/10, thông tin từ Công an phường Bình Tiên, TP Hồ Chí Minh cho biết, vừa giải cứu một nam sinh viên bị "bắt cóc online" trên địa bàn.

Công an TP Hồ Chí Minh sẽ tổng rà soát dữ liệu về xe
Kinhtedothi - Chiều 15/10, đại diện Phòng Cảnh sát giao thông (PC08), Công an TP Hồ Chí Minh cho biết, đang triển khai kế hoạch tổng rà soát dữ liệu đăng ký phương tiện, giấy phép lái xe và số hóa hồ sơ đăng ký xe trên địa bàn, nhằm làm sạch dữ liệu đăng ký xe, giấy phép lái xe.






